Научниците тврдат дека климатските промени го направиле овој разорен настан четири пати поверојатен и значително посилен.
Според анализата објавена од „Скај њуз“, глобалното затоплување значително го зголемило интензитетот на ураганот што во вторник ја погоди Јамајка, а потоа и Хаити, Доминиканската Република и Куба.
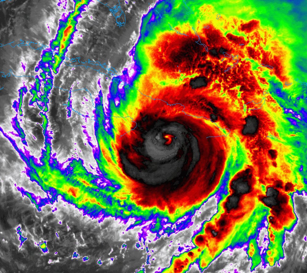
Бурата од петта категорија помина низ регионот со ветрови што достигнувале брзина и до 298 километри на час. Само на Јамајка, властите потврдија четири смртни случаи во покраината Сент Елизабет.
Според проценките на „Акувезер“, Мелиса би можела да предизвика материјална штета и економски загуби од околу 22 милијарди долари, односно 19 милијарди евра, а целосното закрепнување би можело да трае повеќе од десет години.
Истражувачите од Империјал колеџ во Лондон утврдиле дека климатските промени, предизвикани главно од согорувањето на фосилни горива, ја зголемиле брзината на ветрот на ураганот Мелиса за околу седум проценти, односно за дополнителни 18 километри на час. Според нив, во свет без глобално затоплување ваква бура би била околу 12 проценти помалку разрушителна.
Нивната студија, покрај зголемениот интензитет, покажала и дека шансите за појава на вакво силно невреме се драстично повисоки. Во постуден свет, ураган со сила каква што има Мелиса би ја погодил Јамајка еднаш на осум илјади години, додека во сегашната клима, потопла за 1,3 степени Целзиусови, тоа може да се случува еднаш на приближно илјада и седумстотини години.
„Климатските промени предизвикани од човечката активност јасно го направија ураганот Мелиса посилен и поразорен. Ако продолжиме да го загреваме светот со согорување фосилни горива, овие бури ќе стануваат сè поразорни“, изјави професорот Ралф Туми, директор на Институтот „Грентам“ при Империјал колеџ.
Неговата колешка, докторка Емили Теокритоф, додаде дека ова е силен потсетник на економската логика за намалување на емисиите и моралната обврска за итно зголемување на меѓународната поддршка за земјите најпогодени од климатските последици.
Јамајка сега се соочува со тешка задача во обезбедување помош за околу 400 илјади погодени жители, во земја каде што 70 проценти од населението живее на помалку од пет километри од брегот. Во меѓувреме, ураганот Мелиса продолжува да се движи кон североисток, заканувајќи се на нови подрачја во Атлантикот.
Извор: Index.hr
 
				 
				 
								 
								 
								 
								